Recovering the bodies
Wednesday 11th and Thursday 12th March
The first of three bodies were found at 7.30 on March 11th 1908 in the North-East end of the mine.
- A Williamson, lying on his back with arms and legs outstretched
- E Jones, lying on face behind some tubs
- J Titley, lying face down in the middle of the road

The second group of eleven 11 bodies were found together lying with faces towards floor and arms under their mouths.
- S Mitchell
- W Underhill
- H Underhill
- S Turner
- E Burton
- R Ashton
- W Summerfield
- C Summerfield
- J Howell
- J Hodgson
- W Lawley
The bodies of six more men were found together at 4.30pm on March 12th in the East workings.

These were:
- T Cole
- J Hodgkiss
- T Johnson
- J Guest
- A Curtis
- H Watts

They were found next to a board on which they had chalked the final message: "The Lord Preserve Us".

Chalked message from the miners

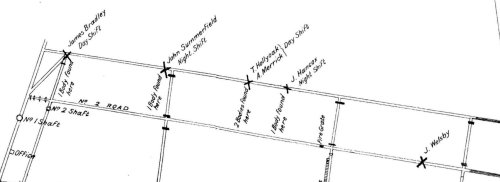
Positions of the bodies along No1 and No2 roads
The final five miner’s bodies were found around 1.30pm on March 13th along the No 1 Road.
These being
• J Hancox
• T Hollyoak
• A Merrick

• J Summerfield
• J Bradley
The final body recovered was that of John Welsby the rescuer. He was found along the No 2 Road.

It is doubtful whether the majority of the men realised the nature or position of the fire, for, judging from the points at which some of the bodies were found, it would seem as if they were attempting to make their way out by the main intake but there is the probability that some of them may have realised their mistake, and had there been means whereby they could have got from the intake into the return (No. 2 East) they might have been saved, but the " bolt holes" (connections between main roads) were barred off by substantial stoppings.
John Welsby
Next - Victims of the Disaster